Alpine Planning and Zoning hearing for the Turley annexation April 14

The Town of Alpine Planning and Zoning Commission will hold a review hearing for a proposed annexation during the regularly scheduled Planning and Zoning Commission meeting Tuesday, April 14, 2026, beginning at 7, p.m., at Alpine Town Hall, 250 River Circle, Alpine, WY
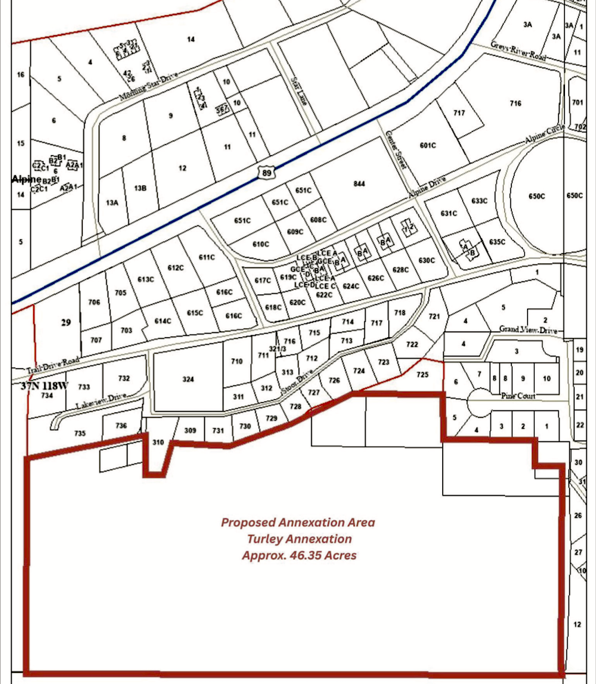
The town reports the hearing will review a proposed annexation request submitted by Steven C. Turley, including property owned by Alpine Property Holdings Group, LLC and Premier Realty Investments, LLC.
This proposed annexation includes 46.35 acres of land located in Section 29, Township 37 North, Range 118 West, Lincoln County, Wyoming, adjacent to the Town of Alpine.
The Planning and Zoning Commission will review the proposed annexation request and supporting materials at the April 14 meeting.
Following the hearing, the Commission will make a recommendation to the Alpine Town Council regarding the proposed annexation.
All interested persons are invited to attend and provide comment regarding the proposed annexation.
Written comments may also be submitted to the Town of Alpine Clerk’s Office. The deadline for written comments is 12 Noon on the day of the meeting.
Copies of the annexation materials may be reviewed at the Town of Alpine Clerk’s Office, 250 River Circle, Alpine, Wyoming, during regular business hours.





